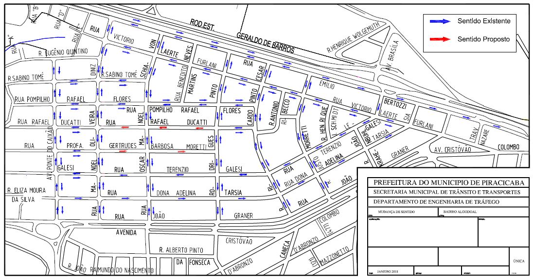
Semuttran altera sentido em ruas no bairro Algodoal
A partir do dia 16 de outubro/2018, terça-feira, a Secretaria Municipal de Trânsito e Transportes (SEMUTTRAN) implantará sentido único de direção nas ruas Rafael Ducatti e Professora Gertrudes Barbosa Moretti.
O trecho que será modificado situa-se entre as ruas Manoel Oliveira Diniz e Sebastião Rodrigues Pinto. A proposta faz parte de um planejamento que inclui diversas vias do bairro Algodoal.
O Departamento de Engenharia faz questão de enfatizar que a mão única de direção traz uma série de benefícios para motoristas e pedestres, além de proporcionar mais segurança, maior mobilidade e quantidade de vagas para estacionamento.
