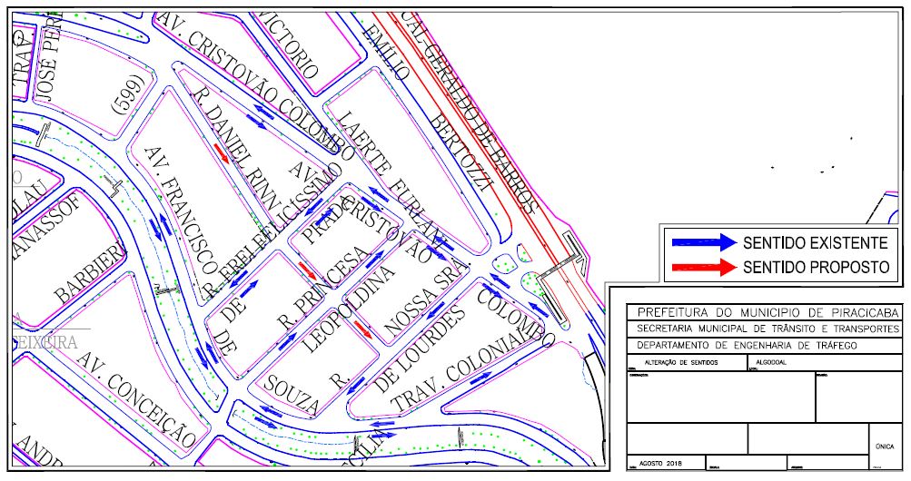
Rua Daniel Rinn terá sentido único
Em busca de melhorias na organização do fluxo de veículos e maior mobilidade, a Semuttran – Secretaria Municipal de Trânsito e Transportes vem executando a mudança de direção para sentido único em diversos bairros do município.
A partir do dia 23 de outubro/2018, terça-feira, a medida será adotada na rua denominada Daniel Rinn, no bairro Algodoal, especificamente no trecho compreendido entre as ruas Ignês Granzotto Gonçalves e Nossa Senhora de Lourdes.
Os estudos e avaliações técnicas do setor de engenharia apontaram a necessidade da alteração, que também já havia sido reivindicada pelos moradores da região.
